房屋介绍
A.项目介绍
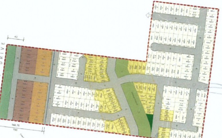
1. 土地尺寸:35英亩
2. 政府批文:土地住宅计画批文已取得(DA approved),所有的尽职调查与评估报告已完成,有机会3个月后即可开始进行行销宣传与预售。
3. 区域分析
位于墨尔本市中心东南方约50公里处,为新建设发展区域,本项目区域为澳大利亚API杂志获选为房价绝不下跌的前10名区域之1(防弹区),并为维州重点发展住宅区。本项目附近的其他住宅项目目前以将近全数售罄,本区的住宅开发项目潜力轻易可见,调查指出过去12个月本区房价均呈现稳定成长的趋势。
4. 项目特色
本项目位于大片公园绿地旁,计画花费两年半兴建超过200户的住宅,邻近镇中心,为墨尔本東南区重点发展区域之一。计画预计花费16百万澳元兴建(每户平均成本约为83,000澳元),预计收益可达46百万澳元。
本住宅项目提供的是欲自然元素融合的生活形态,正对皇家植物园,占地360公顷的花园是经过20年的规划建设完成,居民可选择于花园内的步道慢跑或骑车,亦或是在公园内院散步走走欣赏各式花卉之美,提供最自然的优质生活。
B.周围环境及交通设施
1. 交通:距离Cranbourne火车站约5km,开车经由S Gippsland Fwy及Easlink可前往墨尔本市中心。
2. 购物:开车5-7分钟即可抵达Cranbourne购物中心,购物街区周围餐厅、大型超市及商店比邻。
3. 学校:约5-10分钟行车距离即抵达各种学校,包括公立小学Berwick Fields小学、私立Berwick Chase小学、St Catherines天主教小学、知名公立高中Nossal High School(排名33/ 2013年)、私校如St Margaret's School(排名44/ 2013年)、Kambrya College、St. Francis Xavier College。
4. 其他设施:对面即为Royal Botanic Garden Cranbourne,至邻近Casey Hospital开车约5 分钟,开车12-15分可抵达Philip Bay海滩。
详细信息请联系我们
info@erholding.com.au


